山梨県内の不動産情報 南アルプス市・甲斐市・中央市・甲府市・北杜市・韮崎市・笛吹市・甲州市・山梨市・富士川町・昭和町・市川三郷町・早川町・南部町

土地売買物件詳細рO55(284)6156   

 販売価格                       946万円
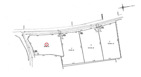
 所在地                         南アルプス市小笠原
 交通                          バス   小笠原   徒歩11分
 地目                          宅地
 土地面積                       284.38u(86.02坪)
 坪単価                         11万円
 都市計画・用途地域                 非線引き区域・第一種低層住居専用地域
 建蔽率・容積率                    50%・100%
 用途                          住宅
 道路状況                       西・南4m公道
 学区                          小笠原小学校・櫛形中学校
 設備 
   電気       東京電力
   水道       公営
   ガス       プロパンガス
   衛生       本下水道
 現況                          宅地
 引渡                          造成工事完了後
 条件等                        建築条件なし
 取引態様                       一般媒介
 備考                          現在造成工事中
                               ご成約の際には、法定(売買価格×3%+6万円)の仲介手数料とそれにかかる消費税を別途申し受けます。
                              ※掲載物件データーが現況と異なる場合は、現況を優先とします。
不動産に関するご相談  成和ハウジング興業  土地・建物の売買賃貸
TEL 055−284−6156